Khu nhà phố MD Land Bùi Tư Toàn là một trong những dự án bất động sản nổi bật tại khu vực Quận Bình Tân, TP. Hồ Chí Minh, thu hút sự chú ý của nhiều nhà đầu tư và gia đình tìm kiếm tổ ấm. Với vị trí chiến lược và quy hoạch bài bản, dự án này hứa hẹn mang đến không gian sống tiện nghi cùng tiềm năng phát triển bền vững cho cư dân. Bài viết này sẽ cung cấp cái nhìn toàn diện về dự án MD Land Bùi Tư Toàn, giúp bạn đọc hiểu rõ hơn về giá trị mà khu nhà phố này mang lại.
Tổng quan dự án Khu nhà phố MD Land Bùi Tư Toàn Quận Bình Tân
Dự án nhà phố MD Land Bùi Tư Toàn có tên thương mại là MD Home Building, được phát triển bởi Công ty TNHH Xây dựng Bất động sản MD Land, một chủ đầu tư uy tín trong ngành. Với tổng diện tích khuôn viên khoảng 950 m2, dự án cung cấp 52 căn nhà phố liền kề, được thiết kế để tối ưu hóa không gian sống và sự riêng tư cho mỗi gia đình. Đây là một khu dân cư hiện đại, phù hợp với nhịp sống đô thị sôi động của Sài Gòn.
Thông tin tổng quan về dự án nhà phố MD Land Bùi Tư Toàn
Dự án MD Home Building không chỉ chú trọng đến chất lượng xây dựng mà còn đảm bảo về mặt pháp lý với Giấy phép xây dựng số 4914-4915-4916-4917/GPXD-UBND cấp ngày 23/09/2019. Đơn vị tổng thầu xây dựng là Công ty Nam Tín Construction, cùng sự giám sát chặt chẽ từ Accco, đảm bảo tiến độ và chất lượng công trình. Loại hình sở hữu của các căn nhà phố tại đây là hợp đồng nhượng quyền thuê 50 năm, mang lại sự linh hoạt cho người sở hữu.
Giới thiệu kiến trúc và không gian sống tại MD Home Building
Sau quá trình chuẩn bị kỹ lưỡng, nhà mẫu của nhà phố MD Land Bùi Tư Toàn đã chính thức đi vào hoạt động, thể hiện rõ nét tầm nhìn và tâm huyết của chủ đầu tư. Các căn nhà được thiết kế theo cấu trúc một trệt, một lửng, hai lầu và sân thượng, tạo nên không gian sống thoáng đãng, tận dụng tối đa ánh sáng và gió tự nhiên. Đặc biệt, với thiết kế mở tinh tế, nhiều căn hộ còn có tầm nhìn hướng ra kênh, mang đến cảm giác thư thái và yên bình cho gia chủ.
Phong cách thiết kế đặc trưng của nhà phố MD Land Bùi Tư Toàn
Mỗi căn nhà phố liền kề tại MD Home An Lạc Bình Tân được xây dựng với móng độc lập, tường bao và cửa sổ riêng biệt, đảm bảo sự riêng tư tuyệt đối cho từng gia đình. Hệ thống hạ tầng kỹ thuật như điện chiếu sáng, đường ống nước, đường nội bộ và vỉa hè được quy hoạch đồng bộ và chăm chút tỉ mỉ, đáp ứng đầy đủ tiêu chuẩn sống hiện đại. Đây là những yếu tố then chốt giúp MD Home Building trở thành lựa chọn lý tưởng cho những ai tìm kiếm một không gian sống mơ ước tại Quận Bình Tân.
<>Xem Thêm Bài Viết:<>- Tổng quan dự án Khu đô thị mới Đông Sơn Thanh Hóa
- Thúy Hiền Và Chồng Mới: Chi Tiết Cuộc Sống Hạnh Phúc Viên Mãn
- Thông tin Quy hoạch Đất Xã Phúc Thuận Phổ Yên, Thái Nguyên
- Khám phá Lễ hội Katê độc đáo của người Chăm
- Tổng Quan Về Công Ty Sacom (SAM)
Mặt tiền Khu nhà phố MD Land Bùi Tư Toàn
Lợi thế cạnh tranh và lý do nên chọn dự án MD Land Bùi Tư Toàn
Có nhiều yếu tố khiến Khu nhà phố MD Land Bùi Tư Toàn nổi bật trên thị trường bất động sản. Thứ nhất, Công ty MD Land là một chủ đầu tư có bề dày kinh nghiệm, đã thực hiện nhiều dự án lớn nhỏ thành công, khẳng định uy tín và năng lực. Sự chuyên nghiệp trong quản lý và phát triển dự án là một điểm cộng lớn, mang lại niềm tin cho khách hàng.
Chính sách hỗ trợ tài chính hấp dẫn
Một trong những lý do quan trọng thu hút khách hàng đến với nhà phố MD Land Bùi Tư Toàn là chính sách hỗ trợ tài chính linh hoạt. Dự án được ngân hàng hỗ trợ vay vốn, cho phép trả chậm lên đến 10 năm. Đặc biệt, chủ đầu tư còn miễn phí một năm phí quản lý vận hành. Đối với khách hàng chọn hình thức thanh toán sớm 30% trong đợt đầu tiên, sẽ nhận được ưu đãi đặc biệt là 5 chỉ vàng 9999. Ngoài ra, gói nội thất trị giá lên đến 100 triệu VNĐ, bao gồm nhiều thiết bị gia dụng cao cấp như Tivi, tủ lạnh, điều hòa, máy giặt, máy sấy, lò vi sóng, máy nước nóng, máy hút mùi và bếp từ, cũng là một điểm cộng lớn, giúp khách hàng tiết kiệm đáng kể chi phí ban đầu.
Vị trí đắc địa Khu nhà phố MD Land Bùi Tư Toàn
Khu nhà phố MD Land Bùi Tư Toàn tọa lạc tại vị trí vô cùng thuận lợi, số 35 Bùi Tư Toàn, Phường An Lạc, Quận Bình Tân, TP. Hồ Chí Minh. Từ đây, cư dân có thể dễ dàng di chuyển đến các khu vực trung tâm và tiện ích công cộng quan trọng. Vị trí này không chỉ mang lại sự tiện lợi trong sinh hoạt hàng ngày mà còn tạo tiềm năng tăng giá bất động sản trong tương lai.
Tiềm năng kết nối khu vực và hạ tầng xung quanh
Vị trí của dự án nhà phố MD Land Bùi Tư Toàn giúp cư dân tiếp cận nhanh chóng đến các tiện ích thiết yếu:
- Cách chợ Xóm Củi khoảng 800m.
- Cách tuyến Metro số 5 chỉ 300m.
- Trung tâm Văn hóa Quận 8 cách 500m.
- Ga Sài Gòn cách khoảng 5km.
- Chợ Lớn cách 1.2km.
- Sân bay Tân Sơn Nhất cách khoảng 8km.
Đây là những con số ấn tượng, cho thấy khả năng kết nối linh hoạt và thuận tiện của dự án MD Land Bùi Tư Toàn với các khu vực trọng điểm của thành phố, giảm thiểu thời gian di chuyển và nâng cao chất lượng cuộc sống cho cư dân.
Vị trí chiến lược của Khu nhà phố MD Land Bùi Tư Toàn
Hệ thống tiện ích nội khu đa dạng tại MD Home An Lạc
Mặc dù hướng đến phân khúc nhà ở có giá trị hợp lý, dự án MD Home Bình Tân vẫn được chủ đầu tư chú trọng phát triển hệ thống tiện ích nội khu. Mục tiêu là mang đến trải nghiệm sống tốt nhất, đầy đủ tiện nghi, đáp ứng mọi nhu cầu sinh hoạt, vui chơi và làm việc của cư dân ngay tại khuôn viên dự án.
Trải nghiệm tiện nghi tại MD Home An Lạc
Cư dân tại Khu nhà phố MD Land Bùi Tư Toàn được hưởng thụ hàng loạt tiện ích cao cấp như:
- Khu vui chơi trẻ em, đảm bảo không gian an toàn và lành mạnh cho sự phát triển của các bé.
- Phòng sinh hoạt cộng đồng, nơi diễn ra các buổi hội họp, gắn kết cộng đồng dân cư.
- Nhà hàng sân thượng mang đến trải nghiệm ẩm thực độc đáo với view đẹp.
- Quán cafe sân thượng, không gian lý tưởng để thư giãn và tận hưởng đồ uống.
- Shop tiện ích tại sảnh, giúp cư dân dễ dàng mua sắm các nhu yếu phẩm hàng ngày mà không cần đi xa.
Tiện ích sân thượng Khu nhà phố MD Land Bùi Tư Toàn
Tiện ích ngoại khu phong phú của MD Land Bùi Tư Toàn
Nằm giữa lòng thành phố, Khu nhà phố MD Land Bùi Tư Toàn được bao quanh bởi một mạng lưới tiện ích ngoại khu hoàn chỉnh và đa dạng. Khu vực lân cận dự án là những con đường sầm uất, cùng với vô số quán ăn, nhà hàng và các dịch vụ giải trí, mua sắm, đáp ứng mọi nhu cầu của cuộc sống hiện đại.
Kết nối cộng đồng và dịch vụ xung quanh
Dự án nhà phố MD Land Bùi Tư Toàn có lợi thế lớn khi gần nhiều tập đoàn, công ty lớn và các bệnh viện hàng đầu trong khu vực, tạo điều kiện thuận lợi cho việc đi lại, học tập và làm việc. Sự hiện diện của các tiện ích này không chỉ nâng cao chất lượng cuộc sống mà còn đảm bảo sự tiện lợi tối đa cho cư dân, từ y tế, giáo dục đến mua sắm và giải trí.
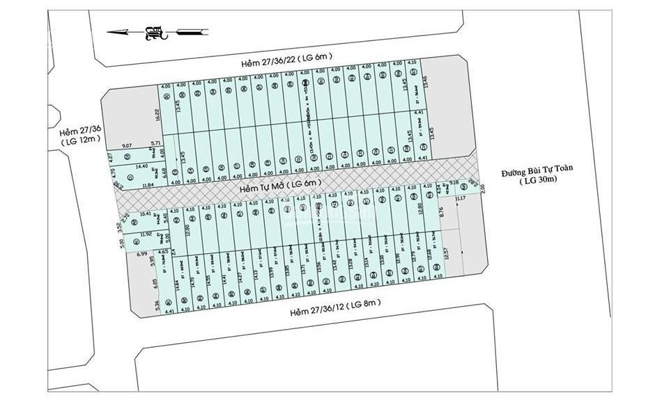
Quy hoạch mặt bằng chi tiết Khu nhà phố MD Land Bùi Tư Toàn
Khu nhà phố MD Land Bùi Tư Toàn được quy hoạch với các loại diện tích đất đa dạng, phổ biến là 4m x 12m và 5m x 12m, cùng các diện tích sàn xây dựng linh hoạt như 259m2, 297m2, phù hợp với nhu cầu của nhiều gia đình. Các căn nhà được bố trí trên các tuyến đường nội khu rộng rãi từ 6m đến 10m, đảm bảo giao thông thuận tiện và không gian thông thoáng.
Các loại hình nhà ở và diện tích điển hình
Hướng nhà tại MD Home Building cũng rất đa dạng với các hướng Tây Bắc, Đông Bắc, Đông Nam, mang đến nhiều lựa chọn phong thủy cho khách hàng. Cấu trúc nhà được thiết kế khoa học, bao gồm phòng khách rộng rãi, 3 phòng ngủ tiện nghi, phòng thờ, phòng ăn, phòng đa năng, khu vực sân phơi và 4 phòng vệ sinh, tối ưu hóa công năng sử dụng cho một gia đình hiện đại.
Đối với mặt bằng chi tiết căn hộ, MD Home An Lạc cung cấp:
- Loại căn 1 phòng ngủ với diện tích từ 33m2 đến 37m2 (tầng 1 và 2).
- Loại căn 2 phòng ngủ với diện tích từ 55m2 đến 56m2 (tầng 3 và 4).
Những thiết kế này hướng tới việc tối ưu hóa không gian sống, mang lại sự thoải mái và tiện nghi cho mọi đối tượng cư dân.
Mặt bằng tổng thể nhà phố MD Land Bùi Tư Toàn
Cập nhật hình ảnh thực tế dự án Khu nhà phố MD Land Bùi Tư Toàn
Khu nhà phố MD Land Bùi Tư Toàn được thiết kế theo phong cách kết hợp giữa nét cổ điển Châu Âu và sự hiện đại, tạo nên một vẻ đẹp độc đáo và mới mẻ. Với không gian rộng rãi, mỗi căn nhà phố mang đến cảm giác sang trọng và đẳng cấp. Diện tích phổ biến của các căn nhà là 4x13m và 4x14m, được xây dựng với quy mô 1 trệt, 1 lửng, 2 lầu và sân thượng.
Thiết kế nội thất của dự án MD Land Bùi Tư Toàn được tối ưu hóa để phù hợp với văn hóa và thói quen sinh hoạt của người Việt. Mỗi căn hộ bao gồm 3 phòng ngủ riêng tư, 4 phòng vệ sinh tiện lợi, khu vực phòng khách ấm cúng, phòng bếp hiện đại, phòng thờ trang nghiêm và sân trước nhà thoáng đãng. Những chi tiết này góp phần tạo nên một không gian sống hoàn hảo, đáp ứng mọi nhu cầu của cư dân.
Không gian phòng bếp hiện đại tại Khu nhà phố MD Land Bùi Tư Toàn
Chính sách bán hàng và ưu đãi hiện hành của MD Land Bùi Tư Toàn
Chủ đầu tư MD Land luôn có những chính sách bán hàng hấp dẫn nhằm hỗ trợ tối đa cho khách hàng khi sở hữu Khu nhà phố MD Land Bùi Tư Toàn. Các chương trình ưu đãi được thiết kế linh hoạt, mang lại lợi ích kép cho người mua, từ hỗ trợ tài chính đến quà tặng giá trị.
Chính sách ưu đãi đặc biệt từ chủ đầu tư
Đối với những khách hàng thanh toán 30% giá trị căn hộ trong đợt đầu tiên, chủ đầu tư dành tặng ngay 05 chỉ vàng. Ngoài ra, tất cả khách hàng đều được miễn phí vận hành và quản lý trong năm đầu tiên, giúp giảm bớt gánh nặng tài chính ban đầu. Những chính sách này thể hiện sự quan tâm và cam kết của MD Land đối với khách hàng, tạo điều kiện thuận lợi nhất để sở hữu tổ ấm mơ ước tại MD Home Building.
Phân tích bảng giá và phương thức thanh toán dự án MD Land Bùi Tư Toàn
Dự án Khu nhà phố MD Land Bùi Tư Toàn nhanh chóng thu hút đông đảo khách hàng nhờ vào mức giá bán vô cùng cạnh tranh, chỉ từ 1.190 tỷ đồng cho một căn hộ. Mức giá này đã bao gồm thuế giá trị gia tăng (VAT) và đặc biệt hơn là bàn giao đầy đủ nội thất, mang lại giá trị vượt trội so với các dự án tương tự trên thị trường.
Trong đợt mở bán này, chủ đầu tư còn mang đến nhiều chương trình hấp dẫn khác. Cụ thể, khách hàng sẽ nhận được gói nội thất lên đến 100 triệu đồng, bao gồm các thiết bị điện tử và gia dụng thiết yếu như Tivi, tủ lạnh, máy lạnh, máy giặt, máy sấy, lò vi sóng, máy nước nóng, bình đun nước, máy hút mùi và bếp điện từ. Điều này không chỉ giúp khách hàng tiết kiệm chi phí sắm sửa ban đầu mà còn đảm bảo chất lượng cuộc sống tiện nghi ngay khi dọn về ở.
Bảng tiến độ thanh toán cho Khu nhà phố MD Land Bùi Tư Toàn được chia thành nhiều đợt linh hoạt, giúp khách hàng dễ dàng sắp xếp tài chính:
| ĐỢT | THỜI GIAN | TỶ LỆ | GHI CHÚ |
|---|---|---|---|
| 1 | Ngay khi đặt chỗ | 50 triệu | Ký phiếu đặt chỗ |
| 2 | 5 ngày sau đợt 1 | 15% | Ký thỏa thuận mua bán |
| 3 | 15 ngày sau đợt 2 | 30% | Ký HĐ cọc |
| 4 | 2 tháng sau đợt 3 | 20% | Ký HĐ thuê căn hộ dài hạn |
| 5 | 1 tháng sau đợt 4 | 5% | |
| 6 | Hàng tháng | 5% | |
| 7 | Có thông báo ký HĐ vận hành căn hộ | 5% | |
| 8 | Quý 4/2021 | 10% | Nhận nhà |
FAQs (Các câu hỏi thường gặp) về Khu nhà phố MD Land Bùi Tư Toàn
-
Chủ đầu tư của Khu nhà phố MD Land Bùi Tư Toàn là ai?
Chủ đầu tư của dự án là Công ty TNHH Xây dựng Bất động sản MD Land, một đơn vị có uy tín và kinh nghiệm trong lĩnh vực bất động sản. -
Vị trí chính xác của dự án Khu nhà phố MD Land Bùi Tư Toàn ở đâu?
Dự án tọa lạc tại địa chỉ số 35 Bùi Tư Toàn, Phường An Lạc, Quận Bình Tân, TP. Hồ Chí Minh, gần nhiều tiện ích giao thông và sinh hoạt. -
Diện tích các căn nhà phố tại MD Land Bùi Tư Toàn là bao nhiêu?
Các căn nhà phố có diện tích đất phổ biến từ 4m x 12m, 5m x 12m và diện tích sàn xây dựng từ 259m2 đến 297m2, tùy thuộc vào loại hình. -
Pháp lý của dự án Khu nhà phố MD Land Bùi Tư Toàn đã hoàn chỉnh chưa?
Dự án đã có Giấy phép xây dựng số 4914-4915-4916-4917/GPXD-UBND cấp ngày 23/09/2019, đảm bảo tính pháp lý rõ ràng. -
Khu nhà phố MD Land Bùi Tư Toàn có những tiện ích nội khu nào nổi bật?
Dự án cung cấp nhiều tiện ích như khu vui chơi trẻ em, phòng sinh hoạt cộng đồng, nhà hàng và cafe sân thượng, cùng với shop tiện ích tại sảnh. -
Chính sách ưu đãi khi mua nhà phố tại MD Land Bùi Tư Toàn là gì?
Khách hàng có thể nhận gói nội thất 100 triệu, tặng 05 chỉ vàng khi thanh toán sớm 30% và miễn phí 1 năm phí quản lý vận hành. -
Loại hình sở hữu nhà phố tại dự án này là gì?
Loại hình sở hữu là hợp đồng nhượng quyền thuê 50 năm. -
Khi nào dự kiến bàn giao nhà tại Khu nhà phố MD Land Bùi Tư Toàn?
Dự kiến bàn giao nhà vào Quý 4 năm 2021.
Khu nhà phố MD Land Bùi Tư Toàn không chỉ là một nơi an cư lý tưởng mà còn là lựa chọn đầu tư tiềm năng tại thị trường bất động sản sôi động của Quận Bình Tân. Với những thông tin chi tiết về vị trí, tiện ích, chính sách và pháp lý được cung cấp, hy vọng quý khách hàng đã có cái nhìn tổng thể về dự án này. Hãy theo dõi SummerLand để cập nhật thêm các thông tin hữu ích về bất động sản và nhà ở.





